General Information
| LZ Type: | Airport |
| Coordinates: (All the same) |
N 37° 19' 32" x W 79° 58' 32" 37° 19.53' x -79° 58.53' 37.32547200 x -79.97541700 |
| Picture(s): | |
| FAA Nav ID: | ROA |
| Address: |
5202 Aviation Drive Roanoke, VA 24012 |
| Phone: | (540) 362-1999 |
| Comments: | ARTCC: Washington Center FSS: Leesburg Flight Service Station |
Group Specific Info
| Group Nav ID: | |
| Comments: |
Record Information
| Last Update: | Mar 18, 2022 1:27pm Web Charlotte Clark |
| Added By: | Mar 18, 2022 1:27pm Web Charlotte Clark |
Weather Stations
Loading from AviationWeather.gov
LZ Information
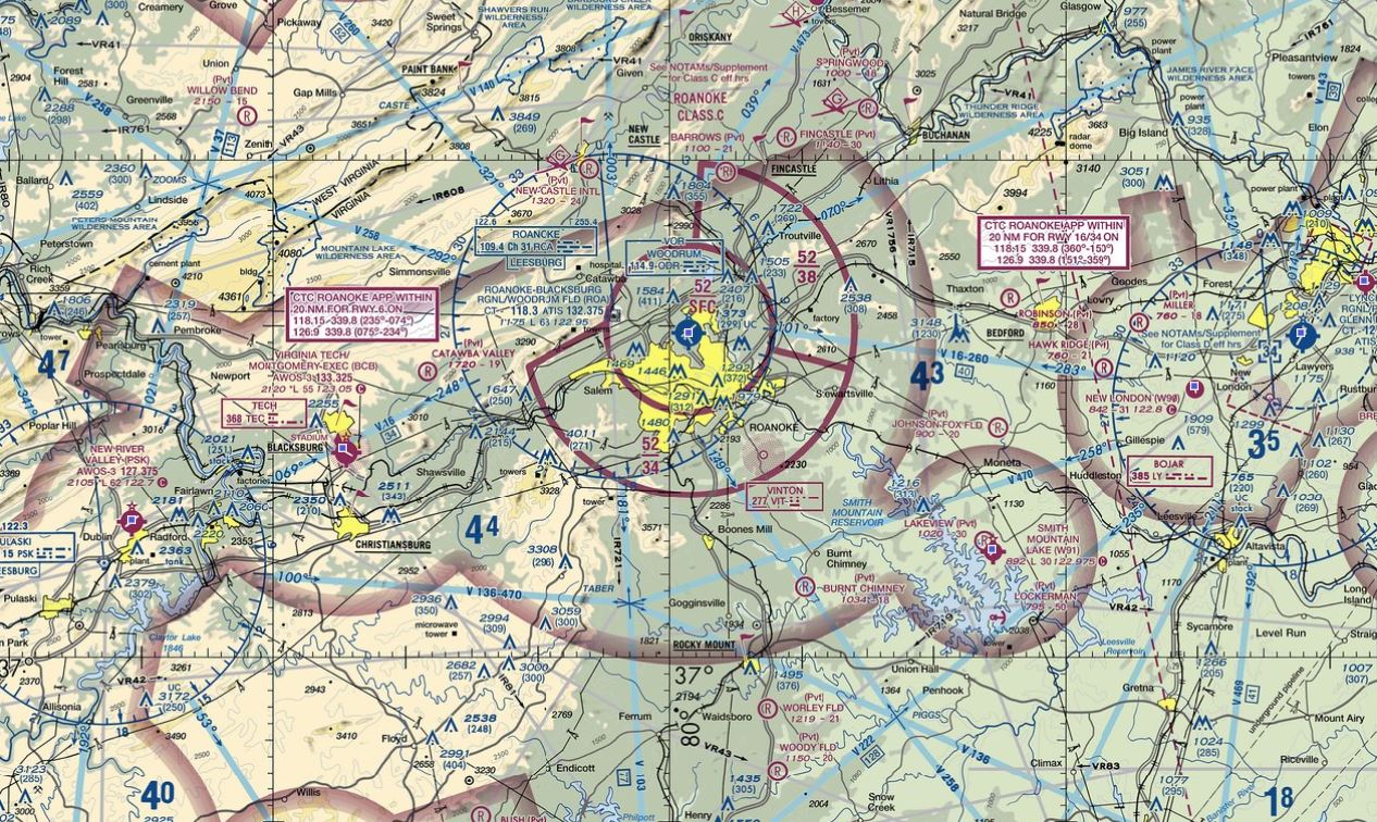
| Location/Description: | Three miles NW of Roanoke City. The airport has two runways, helicopter parking, public and private hangar parking and storage, terminal, and control tower currently staffed 24/7. UNICOM: 122.95 ATIS: 132.375 WX ASOS: PHONE 540-265-0680 ROANOKE GROUND: 121.9 257.8 ROANOKE TOWER: 118.3 257.8 ROANOKE APPROACH: 118.15 ;RWY 16/34 360-150, RWY 06 23 126.9 ;RWY 16/34 151-359, RWY 06 075 339.8 ;RWY 06, 16/34 ROANOKE DEPARTURE: 118.15 ;RWY 16/34 360-150, RWY 06 23 126.9 ;RWY 16/34 151-359, RWY 06 075 339.8 ;RWY 06, 16/34 CLEARANCE DELIVERY: 119.7 CLASS C: 118.15 ;RWY 16/34 360-150, RWY 06 23 126.9 ;RWY 16/34 151-359, RWY 06 075 339.8 ;RWY 06, 16/34 EMERG: 121.5 243.0 IC: 126.9 ;RWY 16/34 151-359, RWY 06 075 339.8 ;RWY 06, 16/34 | |||||||||||||||||||||||||
| Hazards: | ||||||||||||||||||||||||||
| Approach/Departure: | VOR radial/distance VOR name Freq Var ODR at field WOODRUM VOR 114.90 08W ROAr107/4.7 ROANOKE VOR/DME 109.40 04W LYHr282/35.5 LYNCHBURG VOR/DME 109.20 05W PSKr074/38.0 PULASKI VORTAC 116.80 06W | |||||||||||||||||||||||||
| AWOS: | WX ASOS 540-265-0680 | |||||||||||||||||||||||||
| Nearest Fuel | ||||||||||||||||||||||||||
|
||||||||||||||||||||||||||
| Nearest Specialty Centers | ||||||||||||||||||||||||||
|
||||||||||||||||||||||||||
| Comm Chan: | 121.9 257.8 |
| Dimensions: | |
| Surface: | |
| Elevation: | 1175 |
| Jet A Fuel: | Yes |
| Nav Freq: | |
| Max Weight: | |
| Windsock: | Yes, multiple |
| Lighting: | SS-SR, Beacon |
| Instrument App: | Yes |
LZControl